LOADING

5916 Little Fort 24 Highway Lone Butte, British Columbia V0K 1X1

Acreage

$119,900

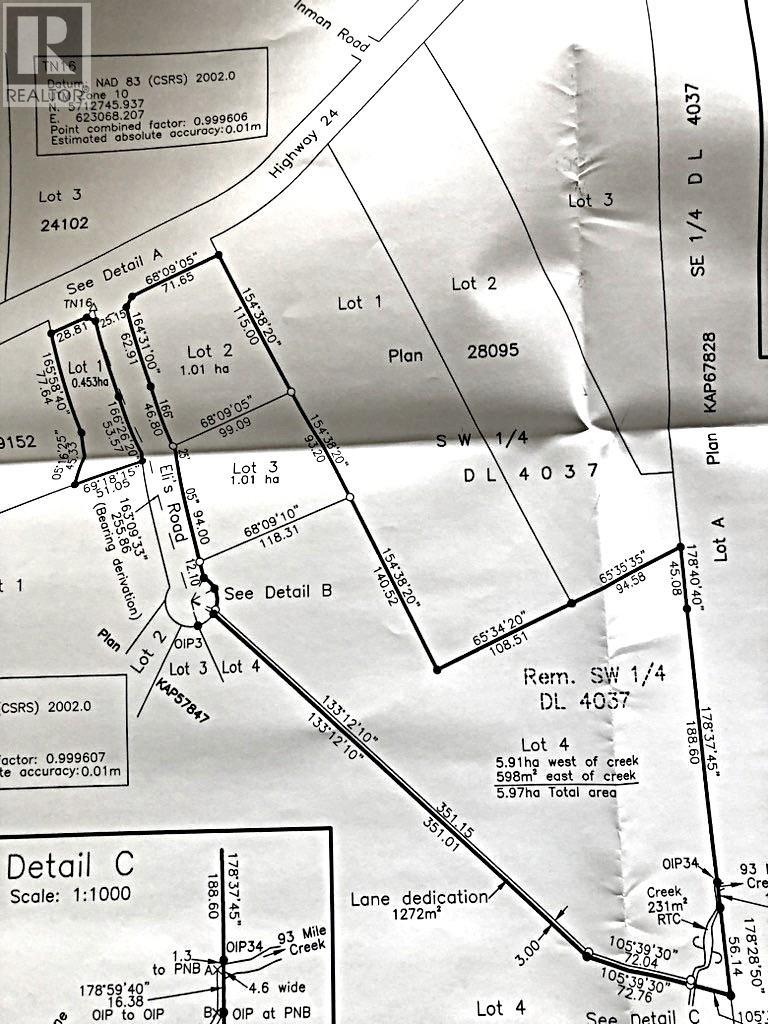
This is just over an acre of land part of a proposed 4 lot subdivision. Proposed Lot 1. Property has a approved perk test for the septic system. Property includes a 100' drilled well that produces approx. 5 gals per min. Water tests results available. Well located Approx. in the middle of the property. Electricity, at the lot line. Gas and internet will be available. Access will be off Elis Road. (id:44393)

Property Details

MLS® Number R3112564
Property Type Vacant Land

Building

Construction Style Attachment Unknown
Utility Water Drilled Well

Land

Acreage Yes
Size Irregular 1.12
Size Total 1.12 Ac
Size Total Text 1.12 Ac

https://www.realtor.ca/real-estate/29618149/5916-little-fort-24-highway-lone-butte

Contact Us

Contact us for more information

Generating Captcha

Harold Kullman

(250) 979-8565
www.kelownahomesforsale.com/

Team 3000 Realty Ltd
106 - 460 Doyle Avenue
Kelowna, British Columbia V1Y 0C2

(778) 297-3000
www.team3000realty.com/

Your Favourites

 

No Favourites Found

 

Subscribe To My Newsletter